ภาพประกอบ

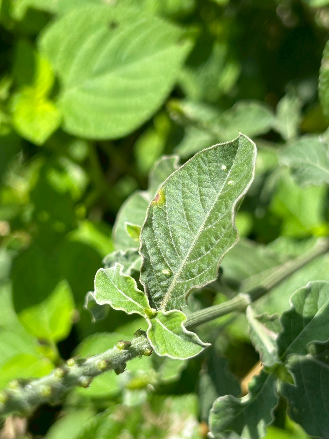
พันงูขาว

prickly chaff-flower
ชื่อวิทยาศาสตร์:

Achyranthes aspera L.

ประเภทวัชพืช:

ใบกว้าง
วัชพืชข้ามปี

ขยายพันธุ์โดย:

เมล็ด

ลักษณะทางพฤกษศาสตร์:

ลำต้น ไม้ล้มลุกอายุหลายปี สูง 30-40 ซม. ลำต้นอ่อนมีขน กิ่งก้านเป็นเหลี่ยม ใบ เป็นใบเดี่ยว เรียงตรงข้าม รูปรีแกมขอบขนาน กว้าง 0.1-0.4 ซม. ยาว 0.1-0.7 ซม. ปลายใบมน โคนใบสอบเรียว ดอก แบบช่อเชิงลด ใบประดับย่อยมีหนามแหลม ที่ปลายกลีบ กลีบรวม 5 กลีบ เชื่อมติดกันเป็นรูปกรวย สีม่วงอมฟ้า เกสรเพศผู้ 4 อัน ผล แห้งรูปไข่

สารกำจัดวัชพืชประเภทก่อนงอก:

alachlor, atrazine, acetochlor, pendimethalin, isoxaflutole, metolachlor, metribuzine

ช่วงเวลาการใช้:

พ่นก่อนวัชพืชงอก

อัตราการใช้:

อัตราการใช้ตามฉลาก

สารกำจัดวัชพืชประเภทหลังงอก:

MCPA, 2,4-D, glufosinate, nicosulfuron+atrazine, tembotrione+atrazine, topramezone+atrazine, mesotrione + S-metolachlor, cyprosulfamide+isoxaflutole

ช่วงเวลาการใช้:

พ่นระหว่างร่อง วัชพืชมีใบ3-5 ใบ

อัตราการใช้:

อัตราการใช้ตามฉลาก

จำนวนการเข้าชม: 16 ครั้ง